Weather Channel Live Stream: Your Hurricane Tracker

B.Osunstate 12 views
Weather Channel Live Stream: Your Hurricane Tracker

Weather Channel Live Stream: Your Hurricane Tracker

Get Ready, Guys: Why The Weather Channel Live Stream is Your Go-To During a Hurricane

Hey there, folks! When a hurricane is brewing, there’s one thing almost everyone with a pulse and a TV (or a smartphone, let’s be real!) turns to: The Weather Channel live stream . It’s not just about watching a forecast; it’s about getting real-time, critical information that could literally save lives and protect your property. Imagine trying to make sense of a rapidly developing storm without constant updates. It’d be like sailing blind into choppy waters! That’s exactly why understanding and utilizing the Weather Channel live stream is paramount for anyone in a hurricane-prone area, or even for those simply interested in staying informed about these powerful natural phenomena. This isn’t just background noise; it’s your frontline defense, delivering meteorological insights directly to your screens. From the moment a tropical depression forms to the aftermath of a devastating landfall, The Weather Channel provides continuous, expert coverage that keeps you in the loop, minute by minute. They bring the science of weather to life, making complex storm tracks and intensity predictions understandable for everyone. This dedication to detailed, accessible reporting is why millions trust their forecasts when the stakes are highest. So, whether you’re debating evacuation, boarding up windows, or just trying to figure out if your area will get hit, the live stream is your indispensable companion, offering a clear, constant window into the storm’s path and potential impacts. It’s more than just a channel; it’s a vital public service, connecting communities to the crucial information they need to prepare, respond, and recover. Don’t just stand there, guys – get informed and stay safe!

Accessing Your Lifeline: How to Tune Into The Weather Channel Live Stream When Disaster Looms

Alright, so you understand why the Weather Channel live stream is so crucial, especially when a hurricane is heading your way. Now, let’s talk about the how . Getting access to this vital information is easier than ever, thanks to a multitude of platforms. First up, for many of you old-schoolers, it’s still all about traditional cable or satellite TV subscriptions . If you’ve got Spectrum, Xfinity, DirecTV, or Dish Network, you’re likely already set. Just punch in the channel number, and boom, instant Weather Channel live stream . But what if you’ve cut the cord, or you’re on the go? No worries, modern technology has got your back, folks! Many streaming services now include The Weather Channel in their packages. Think about options like FuboTV, Sling TV, YouTube TV, and Hulu + Live TV. These services usually require a subscription, but they offer the flexibility to watch on almost any device – your smart TV, tablet, or even your smartphone. This means you can keep an eye on the storm whether you’re at home, hunkering down at a shelter, or evacuating down the highway. For those looking for even more direct access, The Weather Channel often provides a live stream directly through its official website (weather.com) or via their dedicated apps, which are available for both iOS and Android devices. Sometimes, during major hurricane events, they might even offer a temporary, free stream to ensure everyone has access to critical updates, so always check their website directly during an emergency. It’s a smart move to download their app well in advance of hurricane season, so you’re not scrambling when the alerts start buzzing. Remember, having multiple ways to access the Weather Channel live stream ensures you’re never left in the dark, even if one method fails due to power outages or network issues. Preparation is key , and knowing your options for getting that crucial stream is a huge part of that. So go ahead, explore these avenues, guys, and make sure you’re ready to tune in when it matters most.

Beyond the Forecast: What to Expect from The Weather Channel’s Expert Hurricane Coverage

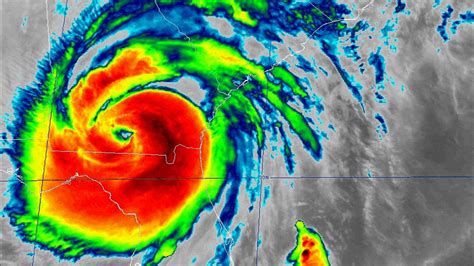
When you tune into the Weather Channel live stream during a hurricane , you’re not just getting a simple weather report; you’re tapping into an incredibly comprehensive and multi-faceted operation designed to keep you informed and safe. Expect to see world-class meteorologists like Jim Cantore and Stephanie Abrams, who become familiar, trustworthy faces during these critical times. These aren’t just TV personalities; they’re highly trained experts who can break down complex meteorological data into understandable, actionable information. They’ll explain storm dynamics, track models, and potential impacts in a way that truly helps you grasp the gravity of the situation. But it’s not just about the folks in the studio; The Weather Channel is renowned for its on-the-ground reporting . Brave reporters often venture into the heart of the storm (safely, of course!) to show you the real-time conditions, giving you a visceral understanding of wind speeds, storm surge, and rainfall. This kind of immersive reporting makes the threat tangible, reinforcing the importance of evacuation orders or shelter-in-place advice. You’ll also get constant updates from their cutting-edge radar technology and satellite imagery , visualizing the storm’s progression with incredible detail. They use advanced graphics to illustrate potential flooding, wind gusts, and projected paths, helping you understand how the hurricane will specifically affect your area . Furthermore, they don’t just report on the storm; they provide crucial safety tips , preparedness checklists , and advice on what to do before, during, and after the hurricane. From securing outdoor furniture to understanding generator safety, their coverage goes far beyond just the weather, encompassing a holistic approach to disaster preparedness and response. They often feature interviews with local emergency management officials, providing specific guidance relevant to affected communities. It’s a truly invaluable resource, offering a blend of scientific data, firsthand accounts, and practical advice, all delivered with an urgency appropriate for a major weather event. So, guys, when you watch, really pay attention – it’s all designed to empower you with the knowledge needed to make the best decisions for your safety and well-being.

Maximizing Your Preparedness: Beyond The Weather Channel Live Stream for Hurricane Safety

While the Weather Channel live stream is an absolutely indispensable tool during hurricane season , relying solely on one source, no matter how good, isn’t the smartest play, guys. Think of it as building a strong defense; you want multiple layers, right? To truly maximize your safety and preparedness when a major storm is approaching, you need to broaden your information net. First and foremost, you should always be tuned into local emergency services and official government channels. These agencies, like your county’s emergency management office or state hurricane centers, will issue the most specific, hyper-local advisories, evacuation orders, and shelter information directly relevant to your community . They often utilize various alert systems, including text messages, reverse 911 calls, and local radio and TV broadcasts, so make sure you’re signed up for those alerts well in advance. Don’t forget about the National Oceanic and Atmospheric Administration (NOAA) . Their National Hurricane Center (NHC) is the gold standard for hurricane forecasting and advisories. Their website and NOAA Weather Radio are incredible resources that provide detailed scientific data, forecast models, and official public advisories, which often serve as the basis for much of what you hear elsewhere. It’s also wise to check in with your local utility companies for specific updates on power outages and restoration efforts. Many have dedicated outage maps and social media channels during storm events. Speaking of social media, while it can be a minefield of misinformation, official accounts for The Weather Channel , local news, and emergency services can provide rapid, real-time updates and share important graphics or videos that might not be on the main broadcast stream. Just be sure to verify sources before trusting any information you see. Lastly, and perhaps most importantly, remember that no amount of digital information replaces good old-fashioned physical preparedness . Have your hurricane kit ready, including non-perishable food, water, medications, flashlights, batteries, and a first-aid kit. Have a family communication plan in place, know your evacuation routes, and make sure your important documents are secured. The live stream keeps you informed, but these proactive steps are what truly protect you and your loved ones. So, combine the power of The Weather Channel live stream with these additional layers of information and preparation, and you’ll be as ready as you can be for whatever Mother Nature throws your way.

Staying Safe and Prepared: The Enduring Value of The Weather Channel Live Stream for Hurricanes

So, there you have it, folks. As we’ve journeyed through the critical aspects of hurricane preparedness , one truth stands out crystal clear: the Weather Channel live stream isn’t just a convenience; it’s a crucial component of your safety strategy during hurricane season . We’ve talked about how it provides unparalleled real-time updates , delivering scientific insights, on-the-ground reporting, and vital safety advice directly to your screens, whether you’re at home or on the move. We’ve explored the various ways to access this indispensable resource, from traditional cable to cutting-edge streaming services and mobile apps, ensuring you’re never without a connection to the latest storm information. Remember, having multiple access points can be a literal lifesaver if one method goes down. We also highlighted the depth of their coverage, showcasing the expertise of their meteorologists and the intrepid reporting that gives you a genuine feel for the storm’s impact. This isn’t just about numbers and maps; it’s about understanding the human element and the practical implications of a powerful weather event. And while the live stream is a powerhouse of information, we also stressed the importance of a multi-layered approach to preparedness. Integrating insights from local emergency services, NOAA, and your own physical preparations—like a well-stocked hurricane kit and a clear family communication plan—creates an ironclad defense against the dangers of a hurricane. Ultimately, the goal here, guys, is not just to watch the storm, but to understand it , prepare for it , and respond effectively to minimize risks. The Weather Channel live stream empowers you with the knowledge to make informed decisions, giving you the best chance to protect yourselves, your families, and your property. So, as we head into or navigate through hurricane season, remember to keep your eyes peeled, your devices charged, and that Weather Channel live stream ready. Stay vigilant, stay informed, and most importantly, stay safe out there!