Track Hurricanes In Florida: Your Satellite Guide

B.Osunstate 39 views
Track Hurricanes In Florida: Your Satellite Guide

Tracking Hurricanes in Florida: Your Satellite Guide

Hey guys! When it comes to Florida hurricane satellite trackers , we know staying informed is super important, especially when a storm is brewing. Nobody wants to be caught off guard! That’s why we’re diving deep into the world of satellite tracking, breaking down how you can use these tools to stay safe and prepared. We’ll explore everything from the best satellite resources to understanding the data they provide. Think of it as your ultimate guide to weathering the storm, both literally and figuratively. Get ready to learn how to keep your finger on the pulse of hurricane season.

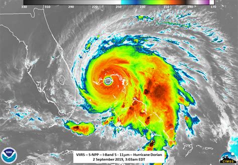
The Power of Florida Hurricane Satellite Trackers

Florida hurricane satellite trackers offer a unique and critical advantage in hurricane preparedness. These tools provide real-time data, allowing meteorologists and everyday citizens alike to monitor storm development, track its path, and predict its impact. The data they provide is invaluable, including wind speed, rainfall amounts, and projected storm surge. Knowing this information can make a huge difference, giving you the time you need to take necessary precautions. These precautions include evacuating, securing property, and gathering emergency supplies. These tools also allow emergency responders to allocate resources effectively, ensuring help gets to where it’s needed most. Without the capabilities of satellite tracking, hurricane forecasting would be far less accurate and response times would be significantly slower, potentially putting countless lives at risk. Satellite technology has revolutionized how we understand and react to hurricanes. It’s an indispensable part of modern hurricane preparedness.

Now, let’s talk about the specific benefits of using these trackers. First off, they offer continuous monitoring. Unlike ground-based observations, which can be limited by location and infrastructure, satellites provide a constant view of the storm, no matter where it is. This is especially helpful in the open ocean where storms often form and intensify. Second, the data is incredibly comprehensive. Satellites don’t just track the storm’s location. They also measure things like cloud formation, temperature, and moisture levels, which are critical for predicting how the storm will evolve. Third, they provide early warning. By detecting early signs of storm development, satellites give us precious time to prepare. This early warning system can mean the difference between safety and disaster. Finally, they improve forecast accuracy. With more and better data, meteorologists can create more accurate models. These models are essential for predicting the storm’s path and intensity. This helps to reduce uncertainty and improve the decision-making process for everyone from individual families to government agencies.

Using Florida hurricane satellite trackers might seem complex at first, but it is actually pretty straightforward. Most of the data is available through user-friendly websites and apps. You’ll often find interactive maps and graphs that show the storm’s current location, projected path, and potential impacts. The key is to know where to look and how to interpret the information. We’ll dive into some of the best resources later on, but for now, know that a little bit of knowledge goes a long way. The ability to understand and interpret satellite data gives you a huge advantage in staying informed and safe during hurricane season. It gives you the power to make informed decisions and stay ahead of the storm.

Best Satellite Resources for Florida Hurricane Tracking

Alright, let’s get into the nitty-gritty of the best resources for Florida hurricane satellite trackers . Knowing where to find reliable information is half the battle, right? I’m going to walk you through some of the top-notch websites and tools that you can rely on during hurricane season. These sources are known for providing accurate, up-to-date data, and many are user-friendly, which is a major plus. We’ll cover both official government sites and some handy apps that you can use on the go.

First, we have the National Hurricane Center (NHC). This is the official source for hurricane information in the United States, and it’s a must-visit for anyone tracking a storm. The NHC’s website offers detailed forecasts, storm tracks, and warnings. They also provide regular updates, so you always know what’s going on. Their website is full of resources. There’s a section on storm preparation, and it provides everything you need to know about the current situation. The NHC is the gold standard for hurricane tracking. Another excellent resource is the National Oceanic and Atmospheric Administration (NOAA). NOAA provides a wealth of information. This includes satellite imagery, weather models, and real-time data. Their website is packed with tools for tracking hurricanes. You can use this to monitor the storm’s progress and see how it is likely to impact your area. NOAA is really useful for getting a broader view of weather patterns and potential hazards.

Besides government sites, there are also some handy apps that are worth checking out. These apps often offer real-time tracking, push notifications, and interactive maps. They’re designed to keep you updated on the go. One popular option is the Weather Channel app. This app gives you access to a wide range of weather information, including hurricane tracking. It has a user-friendly interface. It’s a great tool for quickly checking the latest forecasts and alerts. Another useful app is MyRadar. It offers detailed radar maps and weather alerts. It lets you track storms in real-time, making it easy to see where a hurricane is and where it’s headed. MyRadar is an amazing option for getting instant updates and alerts. Remember, the best resource is the one you know and use regularly. Take some time to explore these options and see which ones work best for you. Staying informed is all about having the right tools at your fingertips.

Decoding Satellite Data: What to Look For

Okay, so you’ve found your Florida hurricane satellite tracker and are ready to go. But what do you do with all the data? Deciphering the information can seem intimidating at first, but with a little guidance, you’ll be able to understand the essentials. This section will break down the key elements you should be watching for when interpreting satellite data. Think of it as learning a new language – once you know the basics, you’ll be able to have a much better idea of what is happening with the storm.

First up: the storm’s location and track . This is usually displayed on an interactive map, often with a projected path. Pay close attention to the cone of uncertainty, which shows the possible paths the storm could take. Also look for the storm’s current position, indicated by a symbol. The closer the storm gets to your area, the more important it is to keep a close eye on these details. Next, consider the intensity of the storm . This is usually measured by wind speeds, which are categorized by the Saffir-Simpson Hurricane Wind Scale. Look for categories like tropical depression, tropical storm, and hurricane, along with their associated wind speeds. The higher the category, the more severe the storm. Pay attention to changes in intensity over time. This will give you an idea of whether the storm is weakening, strengthening, or holding steady. Then, focus on the size of the storm. Satellite images show the diameter of the storm, which helps determine the area that will be affected. A larger storm can bring impacts over a wider region. This is especially important for coastal communities. Consider the storm’s eye, which is the center of the storm. Pay attention to how the eye is structured and whether it is getting more or less organized. Changes in the eye can be a good indication of the storm’s strength and path.

Besides location, intensity, and size, watch for the storm’s rainfall amounts. Many trackers show estimated rainfall, which helps you understand the potential for flooding. This is especially useful for planning your response. Also, keep an eye on the projected storm surge. This is the rise in water level caused by the storm, and it can be extremely dangerous. Trackers often provide forecasts of storm surge height, allowing you to prepare for potential flooding. Last, pay attention to any warnings and watches issued by official agencies. These alerts provide crucial information about potential hazards and inform you of actions you need to take. Being able to decode this data allows you to make informed decisions and stay ahead of the storm. Being prepared is half the battle when it comes to dealing with hurricanes.

Using Satellite Information to Prepare and Stay Safe

Alright, you’ve got the data, you understand the basics of Florida hurricane satellite trackers , now what? Putting that information into action is what matters most. Using satellite information effectively means making smart decisions and taking concrete steps to protect yourself, your family, and your property. We’ll go over the key actions you should take, from early preparation to staying safe during the storm. Remember, being prepared can dramatically reduce the risks associated with hurricanes.

First, start early. As soon as a storm is predicted to affect your area, begin making preparations. Check your emergency kit and make sure it has the essentials: water, food, first aid supplies, flashlights, and a radio. Update your insurance coverage and know your evacuation routes. If you live in an area prone to flooding, know your flood zone and plan your escape route. Secure your home: trim trees and shrubs, remove loose items from your yard, and board up windows or install storm shutters. If you’re told to evacuate, do so immediately. Staying in an area under a mandatory evacuation order is never worth the risk. Make sure your car is fueled up and ready to go. Consider the needs of any pets and any family members that may have specific needs. Prepare for potential power outages by having a generator, if possible, and stocking up on non-perishable food. Charge all electronic devices. This is important to ensure you can stay in contact with family, friends, and emergency services. Share your emergency plans with family and friends. Make sure they know where you plan to go and how to contact you. Then, know the local alerts and warning systems and stay informed. Monitor your local news and weather reports regularly. Stay tuned to official sources such as the National Hurricane Center and local emergency management agencies. Understand the difference between hurricane watches and warnings and what actions you should take for each.

During the storm, it’s all about staying safe and informed. Stay indoors and away from windows and doors. If you have to evacuate, do it immediately. Don’t go outside unless absolutely necessary. Be aware of flooding risks and avoid driving or walking through floodwaters. Follow all instructions from local authorities. Keep monitoring the latest forecasts and updates. Stay informed and be ready to adapt to changing conditions. After the storm has passed, continue to stay safe and informed. Be aware of hazards like downed power lines and flooded roads. Don’t return to damaged areas unless it’s safe to do so. Document any damage to your property and contact your insurance company. Check in with neighbors and offer assistance if you can. It’s really about being proactive, having a plan, and staying informed. Your preparedness and safety efforts can make a huge difference.

Looking ahead, the future of Florida hurricane satellite trackers is full of exciting possibilities. As technology advances, we can expect even more precise and detailed data. The ability to monitor and predict hurricanes will only improve, and this will lead to better preparedness and safety. Let’s explore some of the trends and innovations that are on the horizon. These innovations are set to change how we track and respond to hurricanes. Keep your eyes peeled for these developments!

First, there’s the continued improvement of satellite technology itself. New generations of satellites will be equipped with more advanced sensors. These will be able to measure more variables, providing a more complete picture of storm systems. This includes high-resolution imagery and enhanced radar capabilities. These enhancements will provide incredible detail, from wind speeds to rainfall patterns, leading to more accurate forecasts. Next is AI and machine learning. These technologies are being used to analyze vast amounts of data. This allows for improved forecasting models and faster identification of potential threats. AI can help identify patterns and make predictions that humans might miss. This technology holds great promise. Advances in these areas will lead to more accurate and reliable forecasts. There’s also enhanced data integration. By combining data from various sources, including satellites, ground stations, and weather models, we can create more comprehensive and precise forecasts. This integration is essential for providing accurate information. And finally, there are enhanced communication and dissemination methods. New tools and platforms are being developed to get critical information to the public faster and more efficiently. This includes interactive apps, real-time alerts, and personalized warnings. The goal is to get essential data into the hands of the people who need it. The future of hurricane tracking is bright and promising. These advancements will revolutionize our approach to hurricanes, making us safer and more prepared. These trends are not only exciting but also hold immense potential for saving lives and protecting property.

Conclusion: Staying Informed During Hurricane Season

So, guys, we’ve covered a lot of ground today. From the basics of Florida hurricane satellite trackers to using those tools to stay safe during a storm. Remember, knowledge is your best weapon. By understanding how to access and interpret satellite data, you’re already one step ahead. It’s also about preparedness. Making sure you have an emergency plan and supplies can make all the difference. Knowing where to get reliable information and staying informed is also really important. Make sure to stay informed about what’s happening. The more prepared you are, the safer you’ll be. Use the resources we mentioned and always stay updated on the latest forecasts and warnings. Stay safe out there! Remember to stay vigilant, stay prepared, and trust the science. Hurricane season can be scary, but with the right tools and information, you can navigate it with confidence. Remember to check on your neighbors and help each other out! Stay safe and well!