NOAA Hurricane Tracking: Live Radar & Updates

B.Osunstate 73 views
NOAA Hurricane Tracking: Live Radar & Updates

NOAA Hurricane Tracking: Live Radar & Updates

Hey weather enthusiasts! Ever found yourself glued to your screen, watching the swirling chaos of a hurricane as it barrels towards land? Yeah, me too! It’s a mix of fascination and, let’s be honest, a healthy dose of anxiety. Today, we’re diving deep into the world of NOAA and the National Hurricane Center (NHC) , exploring how they use cutting-edge technology like live radar to track these powerful storms. We’ll also get the lowdown on how you can access this crucial information, so you’re always in the know when a hurricane decides to crash the party.

The Power of Live Radar: Seeing Hurricanes Unfold

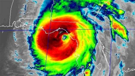
Okay, let’s talk about the heart of hurricane tracking: live radar . It’s not just some fancy gadget; it’s a game-changer. Imagine being able to see a storm’s every move in real-time – its intensity, its direction, and its potential impact. That’s the power of radar. The National Weather Service (NWS) , part of NOAA, deploys a network of sophisticated radar systems across the country, constantly scanning the skies for precipitation. This data is then fed into the NHC, where meteorologists analyze it alongside other information, like satellite imagery and surface observations, to build a comprehensive picture of a hurricane’s behavior.

So, what does this live radar actually show you? Well, it’s not just pretty colors, although the colorful displays are pretty mesmerizing. Radar detects precipitation, so you’ll see areas of rain and thunderstorms depicted with varying intensities. The more intense the color, the heavier the rainfall. By tracking these areas of precipitation, meteorologists can determine a storm’s structure, its size, and how it’s evolving. They can also estimate the storm’s wind speeds, which is critical for understanding its potential for damage. This real-time information allows the NHC to issue timely and accurate warnings, giving communities valuable time to prepare and protect themselves.

Furthermore, modern radar systems can do even more. They can measure the storm’s velocity, helping to determine its direction and speed of movement. They can also detect the presence of tornadoes that often accompany hurricanes. This kind of detailed information is vital for accurate forecasting and for helping people to stay safe. Radar technology is constantly improving, too. New developments in technology will allow us to monitor hurricanes with even greater precision and detail, ensuring that our response to these dangerous storms becomes more effective than ever before.

Accessing the Information: Your Guide to NOAA and NHC Resources

Alright, so you’re probably thinking, “Where do I find this amazing live radar data?” Well, fear not, because accessing NOAA’s and NHC’s resources is easier than you might think. Both organizations have user-friendly websites and platforms packed with information. These are the go-to places for getting the latest updates on hurricanes and tropical storms.

First, let’s look at the National Hurricane Center (NHC) website. This is the official source for all hurricane-related information. On the NHC website, you’ll find everything from current storm advisories and forecasts to detailed discussions about the storms’ development and potential impacts. You can view the latest satellite imagery, which provides a broad overview of the storm’s size and structure. You can also access the official forecast track, which shows the NHC’s predicted path of the storm, as well as the cone of uncertainty, which represents the range of possible paths. It’s a treasure trove of information that’s updated frequently, so it is a good idea to refresh the page often when a storm is brewing.

Then there’s the NOAA website itself. NOAA’s website offers a wealth of information, too. You can find links to the NHC website, as well as to other NOAA resources, such as the National Weather Service. The NOAA site also has interactive maps that allow you to view radar data, satellite imagery, and other weather information in real-time. NOAA also provides educational resources about hurricanes and other weather phenomena. This is a great resource if you want to learn more about the science behind these storms and how to prepare for them.

In addition to the official websites, there are many other ways to stay informed. Many news organizations and weather apps provide live radar data and hurricane updates. It’s a good idea to consult multiple sources to get a well-rounded view of the situation. Just remember to always prioritize information from official sources like NOAA and the NHC. That is your assurance you are getting accurate and reliable data.

Decoding the Data: Understanding Radar Imagery and Forecasts

So, you’ve found the live radar, and you’re staring at a colorful map. Now what? Understanding the data can seem a bit intimidating at first, but with a little practice, it’s pretty easy to get the hang of it. Let’s break down some of the key elements you’ll encounter.

Radar imagery typically uses a color-coding system to represent the intensity of precipitation. The warmer colors, like red and purple, usually indicate heavier rainfall, while the cooler colors, like green and blue, represent lighter rainfall. Some radar systems also show the storm’s velocity, using different colors to indicate the direction and speed of movement. By studying the radar imagery, you can get a good sense of the storm’s structure, its size, and the intensity of the rainfall it is producing.

Forecasts are another crucial part of hurricane tracking. The NHC issues forecasts that predict the storm’s future path, intensity, and potential impacts. These forecasts are based on a variety of data sources, including radar, satellite imagery, and computer models. When you read a forecast, pay attention to the forecast track, which shows the predicted path of the storm. Also, check out the cone of uncertainty, which indicates the range of possible paths. It’s important to remember that forecasts are not perfect, and the cone of uncertainty becomes wider further out in time. That is why it is always essential to stay informed and be prepared to take action if necessary.

In addition to the forecast track and cone of uncertainty, forecasts also include information about potential impacts, such as rainfall amounts, wind speeds, and storm surge. Pay close attention to these details, as they can help you understand the specific risks your community faces. Local emergency management agencies often provide detailed information about potential impacts. You can use these resources to identify evacuation zones and find out how to prepare for different types of hazards. Being able to correctly interpret the data can mean the difference between safety and danger.

Staying Safe: Preparing for and Responding to Hurricanes

Alright, you’ve learned how to track a hurricane using live radar and NOAA resources. But what about the most crucial part: staying safe? Preparing for a hurricane is not just about watching the weather; it’s about taking proactive steps to protect yourself, your family, and your property.

Before hurricane season even begins, make sure you have a hurricane preparedness plan in place. This includes knowing your evacuation routes, identifying a safe place to shelter, and assembling an emergency kit. Your emergency kit should include essentials like food, water, medications, a first-aid kit, a flashlight, and a battery-powered radio. Make sure you have enough supplies to last for several days, as it may take a while for services to be restored after the storm passes. Also, it is a good idea to ensure that your home is structurally sound. You can reinforce your windows and doors to protect them from wind damage. Also, keep your trees trimmed to reduce the risk of falling branches.

When a hurricane is approaching, stay informed by monitoring the NHC and NOAA websites and local news outlets for the latest updates and warnings. Pay close attention to any evacuation orders issued by local authorities. If you are ordered to evacuate, do so immediately. Do not delay. When taking shelter, be sure to find a safe location away from windows and doors. Stay indoors until the storm has passed and local authorities have declared it safe to go outside. Remember that the storm may still be dangerous even after the winds begin to die down. Be careful of downed power lines and damaged buildings. Always remember safety first.

The Future of Hurricane Tracking: Advancements and Innovations

The science of hurricane tracking is constantly evolving. Researchers and meteorologists are always working on improving our ability to monitor, predict, and understand these powerful storms. With improved technologies, we can be more prepared and protected.

One area of focus is on improving the accuracy of hurricane forecasts. Meteorologists are using more sophisticated computer models and data-assimilation techniques to improve their predictions of a storm’s path, intensity, and potential impacts. These models incorporate data from a variety of sources, including radar, satellites, and surface observations. They are run on supercomputers to provide the most accurate forecasts possible.

Another area of innovation is the development of new technologies for observing hurricanes. For example, scientists are using drones and unmanned aerial vehicles to collect data from within hurricanes. They are also using advanced radar systems that can penetrate the storm’s eyewall to provide a more detailed view of the storm’s structure and intensity. Additionally, there are advancements in satellite technology that allow us to monitor hurricanes with greater precision and detail. This includes new sensors that can measure things like sea-surface temperatures and wind speeds.

These advancements will help to improve our understanding of hurricanes, leading to more accurate forecasts and more effective warnings. This ultimately means that communities will have more time to prepare for and respond to these dangerous storms. The future of hurricane tracking is bright, and the ongoing innovations will further enhance our ability to protect lives and property.

Conclusion: Staying Ahead of the Storm

So, there you have it, guys! We’ve covered the ins and outs of NOAA hurricane tracking, from the power of live radar to the resources available at your fingertips. Remember, staying informed and prepared is the key to weathering any storm. Always refer to official sources like the NHC and NOAA for the most up-to-date information. And, of course, stay safe out there!