NOAA Hurricane Center Satellite Imagery: Your Guide

B.Osunstate 130 views
NOAA Hurricane Center Satellite Imagery: Your Guide

NOAA Hurricane Center Satellite Imagery: Your Ultimate Guide

Hey everyone, let’s dive into the fascinating world of NOAA Hurricane Center satellite imagery ! This is your go-to guide, breaking down everything you need to know about how the National Oceanic and Atmospheric Administration (NOAA) uses satellites to track, predict, and understand hurricanes. It’s super important stuff, especially when hurricane season rolls around. So, grab a coffee (or your beverage of choice), and let’s get started. We’re going to cover what this imagery is, why it’s so crucial, and how you can access and understand it yourself. Think of it as a deep dive into the technology that helps keep us safe and informed during these powerful storms. This information is vital for everyone, from meteorologists to casual weather enthusiasts. We’ll explore the satellites, the data they collect, and the incredible work that goes into turning that data into the forecasts and warnings we rely on. We’ll also unpack the different types of imagery, like visible, infrared, and water vapor, and explain how each one helps us see different aspects of a hurricane. Knowing how to read these images is like having a secret decoder ring for weather – it empowers you to understand what’s happening and what’s likely to come. Are you ready to level up your weather knowledge? Let’s go!

Understanding NOAA and its Role in Hurricane Tracking

Alright, first things first: NOAA, the National Oceanic and Atmospheric Administration , is a big deal when it comes to weather. They’re the ones who gather all sorts of data about our planet’s atmosphere and oceans. And when it comes to hurricanes, NOAA is the go-to source. They have a whole team of scientists, meteorologists, and engineers dedicated to monitoring and understanding these storms. NOAA’s job involves several critical functions. Firstly, they operate a network of satellites that constantly scan the Earth, providing real-time data on everything from temperature and wind speed to cloud formations and precipitation. This data is fed into sophisticated computer models that predict the path and intensity of hurricanes. Secondly, NOAA’s National Hurricane Center (NHC) is the official source for hurricane forecasts and warnings in the United States. The NHC analyzes the satellite data, along with information from other sources like weather balloons, buoys, and aircraft reconnaissance, to create detailed forecasts. They issue advisories, watches, and warnings to keep the public informed and prepared. Thirdly, NOAA plays a crucial role in international collaboration. They work with other countries and organizations to share data and coordinate hurricane tracking efforts. This collaboration is essential, as hurricanes don’t respect borders. Lastly, NOAA also invests heavily in research to improve our understanding of hurricanes. They’re constantly working to refine their models and develop new technologies that can help us predict these storms more accurately. Basically, NOAA is the unsung hero of hurricane preparedness, and understanding their role is the first step toward understanding the importance of satellite imagery.

The Importance of Satellite Imagery

So, why is NOAA Hurricane Center satellite imagery so darn important? Well, imagine trying to understand a hurricane without being able to see it. It would be pretty tough, right? Satellite imagery gives us that all-important visual perspective. It allows meteorologists to monitor hurricanes in real-time, even when they’re far out at sea and out of reach of traditional observation methods. The ability to see a hurricane from space is a game-changer. It provides a comprehensive view of the storm’s structure, including its size, shape, and intensity. Satellite imagery also provides critical information that helps forecasters predict a hurricane’s path and how it might evolve over time. This includes data on the storm’s eye, the spiral rain bands, and the overall cloud patterns. Moreover, satellites can collect data that is invisible to the naked eye. They measure things like the temperature of the cloud tops, the amount of water vapor in the atmosphere, and the intensity of the storm’s winds. This data is crucial for understanding the dynamics of a hurricane and predicting how it might strengthen or weaken. Also, Satellite imagery is crucial for identifying areas that could be at risk of flooding and storm surge. This information is used to issue warnings and evacuation orders, potentially saving countless lives. When a hurricane is brewing, the NOAA Hurricane Center satellite imagery becomes an invaluable tool. It’s what gives us that essential bird’s-eye view, helping us understand the storm’s current state and its likely future. So, in short, satellite imagery is the cornerstone of modern hurricane forecasting and preparedness. It allows us to observe these powerful storms from a safe distance, enabling us to make informed decisions and protect ourselves and our communities.

Types of Satellite Imagery Used

Let’s get into the nitty-gritty of the types of NOAA Hurricane Center satellite imagery ! Satellites don’t just take pretty pictures; they collect different types of data, each revealing something unique about a hurricane. Understanding these different types of imagery is like having multiple sets of eyes to observe the storm. We’ll look at the main types, including visible, infrared, and water vapor imagery.

Visible Imagery

First up, we have visible imagery . This is the most straightforward type of imagery because it’s what your eyes would see if you were looking at the Earth from space. It captures the sunlight reflected off the clouds, land, and oceans. The brighter the reflection, the denser the cloud. This type of imagery is incredibly helpful for several reasons. Primarily, it helps in identifying the shape and structure of a hurricane. You can see the eye, the spiral rain bands, and the overall size of the storm. It also provides a sense of the storm’s intensity. Larger, more well-defined cloud patterns generally suggest a stronger storm. However, visible imagery has one significant limitation: it only works during the daytime. At night, when there is no sunlight to reflect, this type of imagery is useless. Visible imagery is like looking through a camera during the day, giving you a clear, direct view of the storm’s cloud formations. This type of imagery is often combined with other types of data to provide a more complete picture of the hurricane. The quality of the imagery depends on the lighting conditions and the amount of cloud cover, and also the resolution of the satellite’s sensors.

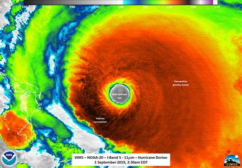
Infrared Imagery

Next, we have infrared imagery . This is where things get really interesting, because infrared imagery works both day and night. It measures the heat emitted by the Earth’s surface and the clouds. The colder the clouds, the higher they are in the atmosphere, and the more intense the storm is likely to be. This means that infrared imagery can provide a good sense of the storm’s intensity even at night. Darker colors on the infrared images typically indicate colder, higher cloud tops, which are often associated with strong thunderstorms and heavy rainfall. In comparison, warmer areas appear in lighter colors, indicating lower cloud heights or clear skies. The ability to see the storm’s structure and intensity around the clock is a massive advantage. This is especially helpful during the critical overnight hours when storms can rapidly intensify. Infrared imagery helps forecasters track the development of the storm, as well as its overall structure and size. Because it works regardless of the time of day, infrared imagery provides the consistency needed for continuous monitoring of hurricanes. Also, this type of imagery can also be used to estimate sea surface temperatures, which can help in forecasting storm intensification. It also helps in identifying the extent of precipitation and the overall size and intensity of the hurricane.

Water Vapor Imagery

Lastly, we have water vapor imagery . This one is really cool because it shows the amount of water vapor in the atmosphere. Water vapor is a key ingredient for hurricanes, and this type of imagery helps forecasters understand the overall moisture environment around the storm. The brighter areas in water vapor imagery typically indicate higher concentrations of water vapor, which can fuel the storm’s development. Darker areas represent drier air. It can also help forecasters identify areas where the storm might strengthen or weaken. This type of imagery is particularly useful for tracking the movement of dry air into the storm, which can weaken the storm’s intensity. It also helps to see the surrounding weather patterns and the interactions of the hurricane with other weather systems. It can give forecasters a better understanding of the overall dynamics of the storm and how it might evolve over time. Water vapor imagery is like a moisture map of the atmosphere, providing critical information about the fuel that powers a hurricane.

How to Access and Interpret NOAA Satellite Imagery

Alright, let’s get you access to the NOAA Hurricane Center satellite imagery ! You don’t need to be a meteorologist to check out these images. There are several ways to access the data. Let’s look at some user-friendly ways you can find and understand these incredible images.

Where to Find the Imagery

The first place to look is the NOAA website itself! NOAA’s official website provides a wealth of information, including real-time satellite imagery. You can find up-to-date images and data there. Additionally, the National Hurricane Center website is your go-to source for hurricane forecasts, advisories, and of course, satellite imagery. These sites are updated frequently, and are the most trusted sources. There are also many other websites that provide satellite imagery, often aggregating data from various sources. These can include both governmental and non-governmental websites, all offering different views and perspectives. However, always make sure you’re using a reliable source, especially when making decisions based on the information. Mobile apps are another great way to get access. There are numerous weather apps available that incorporate satellite imagery. These apps often provide a user-friendly way to view and understand the data. Some of them offer interactive features like zooming, panning, and animations. Social media is also a valuable resource. Many weather experts and organizations share satellite imagery and analysis on social media platforms. Following these accounts can keep you updated. Also, some TV stations and news websites will show the imagery on their weather reports.

Interpreting the Imagery

Now, how do you read these images? Don’t worry, it’s not as complex as it might seem. Start by understanding the basic features of a hurricane: the eye, the eye wall, and the spiral rain bands. These are the main structural elements of the storm. Learn the color scales used in infrared imagery. Darker colors often mean colder cloud tops, indicating more intense storms. In visible imagery, pay attention to the cloud patterns and the overall size and shape of the storm. The bigger and more defined the cloud patterns, the more significant the storm. Understand the differences between the types of imagery: visible, infrared, and water vapor. Each one gives you a different perspective. Look for trends. Is the storm intensifying or weakening? Are the cloud patterns changing? Is the eye becoming more or less defined? Observe how the storm interacts with its environment. Is it moving over warm water (which fuels it) or dry air (which can weaken it)? Pay attention to the location of the storm. Where is it relative to land, and what is the forecast path? When interpreting water vapor imagery, look for high concentrations, which may be a clue for the storm’s strength. These high concentrations indicate the storm’s potential for intensification. Compare images over time. This helps you track the storm’s development and see how it’s changing. Watch for developing features, such as the eye wall. Lastly, use the resources available to you, like NOAA’s explanations. This will help you read and understand the images more accurately.

Conclusion: Staying Informed with NOAA Satellite Imagery

So, there you have it, guys. We’ve covered the ins and outs of NOAA Hurricane Center satellite imagery . You now have a solid understanding of what it is, why it’s so critical, and how to access and interpret it. Armed with this knowledge, you’re better equipped to stay informed during hurricane season. Understanding satellite imagery helps you make better decisions and prepare more effectively. Remember, knowledge is power, especially when it comes to severe weather. Stay safe, stay informed, and always listen to the advice of local officials. By understanding and utilizing these incredible tools, you can stay ahead of the storm and ensure your safety and the safety of those around you. Keep your eyes on those images, and be ready to act when necessary. Stay prepared, and know what to expect.