Ijax Weather Hurricane Tracker: Your Storm Guide
Ijax Weather Hurricane Tracker: Your Ultimate Storm Guide
Hey guys, let’s talk about staying safe when hurricane season rolls around. We all know how intense things can get, and having reliable information is absolutely key. That’s where the Ijax Weather Hurricane Tracker comes in, offering you a super-detailed and user-friendly way to monitor tropical storms and hurricanes. Whether you’re in the direct path or just want to stay informed about potential threats, this tracker is designed to give you the clarity and peace of mind you need. We’re going to dive deep into what makes this tool so valuable, covering everything from its core features to how you can best utilize it to protect yourself, your family, and your property. Knowing what’s brewing in the atmosphere is the first step in preparing effectively, and the Ijax Weather Hurricane Tracker is built to be your go-to resource for just that.
Table of Contents
- Understanding the Power of Real-Time Data
- Key Features of the Ijax Weather Hurricane Tracker
- Visualizing the Threat: Maps and Graphics
- Staying Informed: Alerts and Notifications
- How to Maximize Your Use of the Ijax Tracker
- Preparing for the Worst: Actionable Steps
- Conclusion: Your Shield Against the Storm
Understanding the Power of Real-Time Data
The most crucial aspect of any weather tracking tool, especially for something as dynamic and potentially destructive as a hurricane, is real-time data . The Ijax Weather Hurricane Tracker excels in this area, providing you with up-to-the-minute information on storm formation, track, intensity, and projected path. This isn’t just about seeing a dot on a map; it’s about understanding the nuances of atmospheric conditions that influence a storm’s behavior. We’re talking about data pulled from various sources, including satellite imagery, weather buoys, aircraft reconnaissance, and advanced computer models. This comprehensive approach ensures that the information you receive is as accurate and timely as possible. For instance, when a tropical disturbance begins to organize over the warm waters of the Atlantic or Pacific, the Ijax tracker will be among the first to flag it, showing its initial location, estimated wind speeds, and the direction it’s heading. As the storm strengthens and potentially becomes a hurricane, the tracker will continuously update, providing crucial details like its category (based on the Saffir-Simpson Hurricane Wind Scale), the precise location of its eye, the radius of its hurricane-force and tropical-storm-force winds, and the forecasted cone of uncertainty. This cone is vital because it represents the area where the center of the storm is most likely to track, but it’s essential to remember that dangerous winds, heavy rainfall, and storm surge can extend far beyond this cone. The Ijax Weather Hurricane Tracker makes this complex data accessible, allowing you to visualize potential impacts on a map, overlaying storm data with geographical information like coastlines, major cities, and evacuation zones. This visual representation is incredibly powerful for understanding your personal risk and taking appropriate action. Furthermore, the tracker often includes historical data, allowing you to see past storm tracks and understand regional vulnerability. This historical context, combined with real-time updates, provides a well-rounded picture of hurricane threats. So, when we talk about the power of real-time data, we’re really talking about the power to make informed decisions, to prepare adequately, and ultimately, to stay safer when a hurricane is on the horizon. The Ijax Weather Hurricane Tracker is designed to put that power directly into your hands, offering a sophisticated yet easy-to-understand window into the heart of the storm.
Key Features of the Ijax Weather Hurricane Tracker
So, what exactly makes the Ijax Weather Hurricane Tracker stand out from the crowd? It’s a combination of robust features designed to give you a complete picture of any developing or active hurricane. Let’s break down some of the most important ones, guys. First off, interactive mapping is a huge deal. You’re not just looking at static information; you’re interacting with a dynamic map that allows you to zoom in on specific areas, pan across regions, and view multiple storm systems simultaneously if needed. This map displays crucial elements like storm tracks, intensity forecasts, wind speed probabilities, and the aforementioned cone of uncertainty. You can often toggle different layers on and off, such as showing current weather conditions, ocean temperatures (which fuel hurricanes), and even potential rainfall totals. Another killer feature is detailed storm information . When you click on a storm, you get a wealth of data presented in an easily digestible format. This includes the storm’s current position, its maximum sustained winds, its central pressure (a key indicator of storm strength – lower pressure means a stronger storm), its movement speed and direction, and its projected path for the next several days. This information is typically updated every few hours, mirroring the official advisories from meteorological agencies. The alert and notification system is a lifesaver. You can set up customized alerts for specific geographic areas or for storms that meet certain criteria (e.g., a storm strengthening to hurricane status). This means you’ll receive timely notifications directly to your phone or email, so you don’t have to constantly monitor the tracker yourself. This proactive approach ensures you’re never caught off guard. We also love the integration with official advisories . The Ijax Weather Hurricane Tracker doesn’t just generate its own data; it pulls directly from and links to official sources like the National Hurricane Center (NHC) in the US or equivalent agencies in other regions. This means you can trust the information presented and easily access the full, detailed advisories for a deeper dive. Finally, many versions of the tracker include historical storm data and analysis tools . This allows you to look back at past hurricane seasons, understand patterns, and potentially assess the risk profile of your specific location over time. This historical perspective, combined with the real-time data, makes the Ijax Weather Hurricane Tracker an incredibly powerful tool for both immediate safety and long-term preparedness. These features collectively aim to demystify hurricane tracking and empower users with the knowledge they need to make critical decisions.
Visualizing the Threat: Maps and Graphics
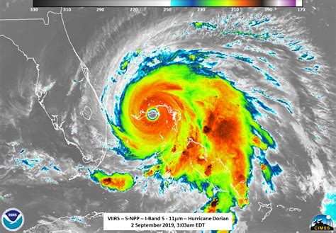
When it comes to understanding a hurricane, nothing beats a good map, right? The Ijax Weather Hurricane Tracker truly shines in its ability to present complex meteorological data through clear, intuitive, and interactive maps and graphics. Forget dry, technical jargon; this tool translates the science into visuals that anyone can grasp. The core of this visualization is the interactive map interface . Think of it as your command center for storm tracking. You can zoom in on your neighborhood, your city, or the entire basin where a storm is brewing. As you pan and zoom, you’ll see the storm’s current position marked with a distinct symbol, often indicating its intensity. The magic happens when you look at the forecast products. The cone of uncertainty is perhaps the most critical graphic. It’s not a solid line but a shaded area that shows the probable track of the storm’s center. The Ijax tracker displays this cone clearly, giving you a sense of the potential area that could be affected. It’s important to remember, though, that the greatest impacts – like heavy rain, strong winds, and storm surge – often extend well outside this cone. The tracker usually provides additional graphics to illustrate these potential impacts. For example, you’ll often find wind speed probability maps . These maps show the likelihood of experiencing certain wind speeds (e.g., tropical storm force or hurricane force) at different locations over the next few days. This is incredibly useful for understanding if your specific area is at risk, even if the storm’s center is forecast to pass far away. Similarly, rainfall forecast maps are essential for anticipating potential flooding, a major killer in tropical cyclones. These maps depict expected precipitation amounts, helping you prepare for dangerous inland flooding scenarios. The Ijax tracker also typically includes storm surge forecasts , which are vital for coastal communities. These graphics predict the abnormal rise of water generated by a storm, above the normal tide levels, and can be a devastating aspect of a hurricane. Beyond these core graphics, the tracker might also display ocean temperature data , highlighting areas of warm water that can fuel hurricane intensification, and model guidance plots , showing the different paths predicted by various computer weather models. The visual representation of these different models can give you a sense of the uncertainty in the forecast. By combining these various maps and graphics, the Ijax Weather Hurricane Tracker provides a holistic view of a hurricane’s threat. It allows you to see not just where the storm is going, but how it might impact your specific location, empowering you with the knowledge needed to take decisive action. It’s all about making complex data accessible and actionable, so you can prepare effectively and stay safe during these dangerous weather events.
Staying Informed: Alerts and Notifications
Let’s be real, guys, you can’t be glued to a screen 24 ⁄ 7 , especially during hurricane season when things can change in a heartbeat. That’s why the alert and notification system on the Ijax Weather Hurricane Tracker is an absolute game-changer. It’s designed to keep you in the loop proactively, so you don’t have to constantly refresh the page or worry about missing a critical update. Think of it as your personal storm sentinel, working around the clock to bring important information directly to you. The system typically allows for customizable alerts . This means you can set up notifications based on your specific needs and location. For instance, you can choose to be alerted when a storm forms within a certain radius of your home, or when a storm is forecast to make landfall within a particular state or county. You can often specify the types of alerts you want to receive – perhaps you only need to know when a system becomes a tropical storm or a hurricane, or maybe you want alerts for significant changes in intensity or track. The flexibility here is key to ensuring you get the information that matters most to you without being overwhelmed by unnecessary notifications. Another crucial aspect is the delivery method . Alerts can usually be sent via multiple channels, including email and push notifications to your smartphone. Having these alerts delivered straight to your phone means you’ll be notified even if you’re away from your computer or if your email inbox is flooded. This immediate notification is vital when seconds count. The trigger for alerts is also intelligently designed. The system is often linked to official meteorological agency advisories. So, when the National Hurricane Center (or your local equivalent) issues a new public advisory, watch, or warning, the Ijax tracker can automatically generate an alert based on that official information. This ensures that the alerts you receive are based on the most authoritative data available. Furthermore, some advanced systems might even offer alerts based on specific forecast thresholds, such as predicted wind speeds reaching a certain level at your location, or expected rainfall totals exceeding a critical amount. The goal of this alert system is simple: to provide timely, relevant, and actionable information to help you make critical decisions. Whether it’s urging you to start preparing your home, considering evacuation, or simply staying aware of potential impacts, these notifications are designed to enhance your safety and preparedness. By leveraging the Ijax Weather Hurricane Tracker’s alert system, you can significantly reduce the stress and uncertainty associated with tracking hurricanes and ensure you’re always one step ahead of the storm.
How to Maximize Your Use of the Ijax Tracker
Alright, guys, you’ve got this powerful tool in your hands – the Ijax Weather Hurricane Tracker . Now, let’s talk about how you can squeeze every last drop of value out of it to ensure you and your loved ones are as prepared as possible. It’s not just about looking at the map; it’s about integrating this information into your preparedness plan. First and foremost, familiarize yourself with the interface before a storm threatens . Spend some time clicking around, understanding where to find the key information like the cone of uncertainty, wind speeds, and forecast tracks. Knowing how to navigate the tracker when things are calm will save you precious time and reduce stress when a storm is imminent. Identify the critical features that are most relevant to your location and your needs – maybe it’s the storm surge forecast for coastal dwellers, or the rainfall predictions for those inland. Secondly, use the tracker in conjunction with official advisories . The Ijax tracker is an excellent tool, but it complements, rather than replaces, the information from official sources like the National Hurricane Center (NHC). Make sure you know how to access the full advisories from these agencies, as they contain the most detailed and authoritative guidance. The tracker can give you a great overview, but the official advisories offer the full picture. Thirdly, understand the limitations of the data, especially the cone of uncertainty . As we’ve mentioned, the cone represents the most likely track of the storm’s center . Dangerous weather impacts – wind, rain, surge – can and often do occur far outside this cone. Don’t assume you’re safe just because you’re outside the cone. Use the wind probability and rainfall graphics to assess your specific risk. Fourth, pay attention to when the data is updated . Storm information is dynamic. Know the typical update cycle for the Ijax tracker (usually every few hours, mirroring official advisories) and be aware that significant changes can occur between updates. This is where the alert system becomes indispensable. Set up alerts for your specific area or for storms that are nearing your region. This ensures you’re notified of significant changes without having to constantly monitor the tracker. Fifth, consider your personal risk and develop a plan . Use the tracker’s information to inform your decisions. If you live in a hurricane-prone area, know your evacuation zone and have a plan in place before storm season begins. Use the tracker to monitor storms as they develop and decide when to enact your plan. This includes gathering essential supplies, securing your home, and knowing where you will go if evacuation is necessary. Finally, share reliable information . If you have neighbors or family members who aren’t as tech-savvy, use the information from the Ijax tracker and official sources to help them stay informed. Being a reliable source of information can make a huge difference in your community. By actively using and understanding the Ijax Weather Hurricane Tracker , you transform it from a passive information source into an active tool for safety and preparedness, empowering you to navigate hurricane season with greater confidence and security. Remember, guys, preparation is key, and this tracker is one of your best allies.
Preparing for the Worst: Actionable Steps
Knowing is half the battle, but the other half, and arguably the more critical half, is acting on that knowledge . The Ijax Weather Hurricane Tracker gives you the ‘knowing’ part – the crucial data about approaching storms. Now, let’s translate that into actionable steps to ensure you’re truly prepared for the worst when a hurricane threatens. The moment the Ijax tracker starts showing potential development or an active storm nearing your region, it’s time to shift into action mode. Your first step should be reviewing and enacting your personal hurricane preparedness plan . If you don’t have one, now is the time to create it. This plan should cover communication strategies (how you’ll contact family if separated), evacuation routes and destinations (where you’ll go and how you’ll get there), and sheltering-in-place procedures (how to secure your home if you decide to stay). The tracker can help you decide when to activate parts of this plan – for example, when evacuation orders are issued or when storm conditions are predicted to become dangerous in your area. Secondly, gather and check your emergency supplies . This includes a disaster kit with essentials like water (one gallon per person per day for several days), non-perishable food, a first-aid kit, medications, flashlights, batteries, a radio, sanitation items, and copies of important documents. The tracker helps you anticipate the timeframe, giving you a window to ensure your kit is complete and accessible. Thirdly, secure your home . Based on the tracker’s forecast for wind speed and storm surge, take steps to protect your property. This might involve boarding up windows and doors, securing outdoor items that could become projectiles (like patio furniture and trash cans), and clearing gutters and downspouts to help with drainage. For coastal residents, understanding the storm surge predictions from the tracker is paramount for making decisions about whether to evacuate. Fourth, stay informed about official evacuation orders . While the Ijax tracker provides excellent forecast data, official evacuation orders come from local authorities. Use the tracker to monitor the storm’s progress, but always heed the directives from your local emergency management officials. The tracker can help you understand the basis for these orders by showing the projected intensity and track of the storm. Fifth, have a communication plan for staying in touch . During a major event, cell towers can be overloaded or damaged. Have a plan for how you will check in with loved ones, perhaps through text messages (which often get through better than calls) or by designating an out-of-state contact person whom everyone can check in with. The tracker’s real-time updates can inform the timing and urgency of these communications. Finally, know your risks and act accordingly . The tracker provides data on wind, rain, and surge. Use this information to understand the specific threats to your location. If you are in a low-lying coastal area prone to storm surge, evacuation might be your safest option, regardless of the storm’s category. If you are inland but in an area prone to flash flooding, securing your home and having supplies is critical. By actively using the data from the Ijax Weather Hurricane Tracker to inform these concrete actions, you move from being a passive observer to an active participant in your own safety. Preparation isn’t just about having supplies; it’s about having a plan and the discipline to execute it when the time comes. This proactive approach, guided by reliable tracking tools, is your best defense against the destructive power of hurricanes.
Conclusion: Your Shield Against the Storm
In the face of nature’s most formidable displays, knowledge and preparation are your greatest allies. The Ijax Weather Hurricane Tracker emerges as an indispensable tool, transforming the often-confusing science of meteorology into accessible, actionable insights. It’s more than just a map; it’s your digital shield, designed to empower you with the critical information needed to navigate the threats of hurricane season. By providing real-time data, interactive visualizations, and timely alerts , the Ijax tracker allows you to understand the storm’s trajectory, intensity, and potential impacts on your community. We’ve explored how its key features , from detailed storm information to customizable notifications, work together to demystify the hurricane threat. We’ve seen how its intuitive mapping brings complex data to life, making it easier to grasp the potential dangers like wind, rain, and storm surge. Crucially, we’ve emphasized how leveraging its alert system ensures you’re never caught off guard, allowing for timely decision-making. Remember, guys, the tracker is a guide, a powerful one, but it works best when integrated into a comprehensive preparedness plan . Utilize the information it provides to review your emergency supplies, secure your home, and most importantly, to make informed decisions about evacuation when necessary. By understanding the data, heeding official guidance, and acting decisively, you can significantly mitigate the risks associated with hurricanes. The Ijax Weather Hurricane Tracker is, therefore, not just a piece of technology; it’s a vital component of your safety strategy. It empowers you to move from a state of uncertainty and fear to one of informed action and resilience. Stay vigilant, stay prepared, and let the Ijax Weather Hurricane Tracker be your steadfast companion through hurricane season, helping you and your loved ones stay safe and secure.