Hurricane Maria's Devastating Impact On Dominica

B.Osunstate 35 views
Hurricane Maria's Devastating Impact On Dominica

Hurricane Maria’s Devastating Impact on Dominica

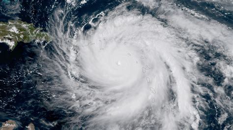
Hey guys! Let’s dive deep into the heartbreaking effects of Hurricane Maria in Dominica . This powerful storm, which slammed into the island in September 2017, left an indelible mark. It’s a story of destruction, resilience, and the long road to recovery. Dominica, often called the “Nature Island” for its lush landscapes, faced an unprecedented disaster. We’re talking about a Category 5 hurricane, packing winds of up to 160 mph. It ripped through the island, leaving behind a trail of devastation that touched every aspect of life. I’ll break down the major areas affected, including infrastructure, the economy, and the emotional toll on the people. So, buckle up; it’s going to be a heavy but essential read. Understanding what happened helps us appreciate the strength of the Dominican people and the ongoing efforts to rebuild. The immediate aftermath was chaotic, with communication and transportation networks crippled. Homes were destroyed, and communities were isolated. The storm’s impact resonated far beyond the initial hours of destruction, leading to widespread challenges that the island is still addressing. Let’s get into the details, shall we?

Infrastructure Devastation and Recovery Efforts

Alright, first up, let’s talk about the infrastructure devastation caused by Hurricane Maria. Imagine this: roads, bridges, and the power grid – all essential lifelines – were severely damaged or completely wiped out. The storm’s ferocity meant that many buildings, including homes, schools, and hospitals, were reduced to rubble. The initial challenge was simply accessing affected areas to assess the damage and provide assistance. With roads blocked by landslides and debris, reaching those in need became a monumental task. The electricity grid, which is so crucial for modern life, collapsed. This meant no power for homes, businesses, and essential services like hospitals. The water supply also suffered; damage to water systems left many without access to clean drinking water. Restoring infrastructure was a massive undertaking, and recovery efforts were hampered by the scale of the destruction. International aid poured in, but the logistics of distributing supplies and equipment across a damaged island were daunting. Repairing roads and bridges was a priority to enable the delivery of aid and facilitate the movement of people. Rebuilding the power grid required significant investment and expertise. In many cases, the infrastructure was not only repaired but also upgraded to be more resilient to future storms. The goal was to build back better, creating structures that could withstand the impact of future hurricanes. This involved more robust building codes and investments in renewable energy sources to make the island less dependent on a centralized power grid. The long road to recovery also involved a focus on water and sanitation, ensuring that communities had access to clean water and that sanitation systems were functioning. Rebuilding infrastructure was not just about restoring what was lost; it was about creating a more resilient and sustainable future for Dominica. The task continues today, with ongoing projects to reinforce critical infrastructure and make the island better prepared for the inevitable challenges of climate change.

The Immediate Aftermath: Assessing the Damage

The immediate aftermath of Hurricane Maria was a scene of utter chaos and devastation. The first few days and weeks were all about assessing the damage, trying to understand the full scope of what had happened. Imagine trying to make sense of a war zone. That’s what it was like for the people of Dominica. Communication systems were completely down, which meant families were separated, and it was nearly impossible to coordinate relief efforts. Roads were impassable, which left many communities completely isolated. The island’s airport was also damaged, which severely restricted access for aid and emergency personnel. Rescue operations were hampered by the difficult terrain and the widespread destruction. The initial assessments revealed a staggering loss of life and property. Homes were destroyed, businesses were ruined, and essential services were disrupted. The agricultural sector, which is the backbone of Dominica’s economy, was almost completely wiped out. Crops were destroyed, livestock was lost, and farmers were left with nothing. The emotional toll was immense. People had lost their homes, their livelihoods, and in some cases, their loved ones. The government, with the help of international organizations, began the daunting task of assessing the damage and coordinating relief efforts. This involved surveying the affected areas, identifying the most urgent needs, and distributing essential supplies. The immediate priorities were to provide food, water, medical care, and shelter. Temporary shelters were set up, and medical teams were deployed to treat the injured and provide basic healthcare services. The recovery process would take years, and the immediate aftermath set the stage for the long and challenging journey ahead. The courage and resilience of the Dominican people in the face of such adversity were truly remarkable.

Long-Term Challenges in Infrastructure

Looking beyond the immediate aftermath, there were long-term challenges that arose. One significant issue was the long time it took to rebuild essential infrastructure. Even after the initial efforts to clear roads and restore basic services, the process of repairing and replacing damaged infrastructure took years. The damage to the power grid, for example, required extensive work to repair power lines and substations. Many communities were left without electricity for months. The government also faced the challenge of securing the necessary funding for infrastructure projects. International aid was crucial, but the scale of the damage meant that funding was often insufficient to meet all the needs. Another long-term challenge was the need to improve the resilience of infrastructure to future hurricanes. This meant rebuilding roads, bridges, and buildings to withstand the impact of strong winds and heavy rainfall. The government implemented stricter building codes and invested in infrastructure projects designed to minimize the impact of future storms. The lack of skilled labor and construction materials also slowed down the recovery process. Many skilled workers had left the island after the storm, and the supply of construction materials was limited. The government had to import materials and attract skilled workers to rebuild the infrastructure. The recovery process was complex, requiring coordination among various government agencies, international organizations, and local communities. The challenges extended to waste management, with the need to dispose of the vast amounts of debris generated by the storm. Infrastructure recovery was crucial for Dominica’s economic recovery and the overall well-being of its citizens. The long-term challenges in infrastructure highlighted the need for sustained investment, improved resilience, and a coordinated approach to building a more sustainable future.

Economic Fallout and Recovery Strategies

Now, let’s talk about the economic fallout and recovery strategies that followed the hurricane. Hurricane Maria dealt a severe blow to Dominica’s economy, which heavily relies on tourism and agriculture. The tourism sector, a major source of income, ground to a halt as hotels, resorts, and tourist attractions were destroyed or damaged. Flights were canceled, and tourists were unable to visit the island. This led to a significant loss of revenue for businesses and the government. Agriculture, which is another crucial sector, was devastated. Banana farms, citrus groves, and other crops were wiped out. Farmers lost their livelihoods, and the island faced shortages of essential food items. The destruction of infrastructure, such as roads and ports, further hampered economic activity. The recovery strategies implemented by the government and international partners were multifaceted. The first step was to provide emergency relief, including food, water, and shelter, to those affected by the storm. This helped to stabilize the situation and prevent further hardship. Next, the government focused on stimulating economic activity. This involved providing financial assistance to businesses, supporting the agricultural sector, and investing in infrastructure projects. The government also implemented policies to attract investment and promote economic growth. One key aspect of the recovery strategy was to diversify the economy. The government recognized the vulnerability of the island’s dependence on tourism and agriculture and sought to develop other sectors, such as renewable energy and information technology. The government also partnered with international organizations to implement programs to support the recovery. These programs included providing grants to businesses, offering training to farmers, and building infrastructure. The economic recovery process was long and challenging. Dominica faced a significant decline in economic output and high levels of unemployment. However, through a combination of government policies, international assistance, and the resilience of the Dominican people, the island began to recover. The strategies focused on rebuilding infrastructure, diversifying the economy, and investing in human capital to build a more sustainable and resilient future.

Impact on Key Industries: Tourism and Agriculture

Let’s zoom in and look at the specifics. The tourism and agriculture industries were absolutely hammered. For tourism, you can imagine: hotels were wrecked, beaches were trashed, and the infrastructure tourists rely on was simply gone. Cruise ships couldn’t dock. Flights were grounded. The whole industry was paralyzed. This was a huge hit to the island’s revenue and employment. Many people lost their jobs. It took a long time to get things back on track. Now, agriculture: agriculture is the backbone of Dominica’s economy. Banana, citrus, and other key crops were completely destroyed. Farmers lost everything, their crops, their livelihoods. There were shortages of food. The storm’s impact on these two industries meant a massive decline in Dominica’s GDP. The recovery of both sectors was crucial to getting the economy back on its feet. The government launched initiatives to rebuild hotels and resorts. They promoted Dominica as a destination to attract tourists back. In agriculture, they provided aid to farmers. The recovery of these sectors was a long game, requiring rebuilding infrastructure, replanting crops, and restoring the supply chains. It would take a few years to see a full recovery.

Government and International Aid Efforts

Alright, let’s discuss the role of the government and international aid. Following the disaster, the government of Dominica, in collaboration with international organizations, stepped up to provide immediate assistance. The government declared a state of emergency. They coordinated relief efforts and provided essential supplies, such as food, water, and shelter. They also mobilized the military and other emergency services to assist with rescue and recovery operations. Numerous international organizations and foreign governments provided substantial aid. This included financial assistance, technical support, and the provision of essential goods. The United Nations, the Caribbean Community (CARICOM), and various non-governmental organizations (NGOs) played a crucial role. They offered logistical support and resources to facilitate the distribution of aid. The government and international partners worked together to develop and implement recovery strategies. The focus was on rebuilding infrastructure, supporting the agricultural sector, and promoting economic diversification. The government also launched programs to assist businesses, provide financial aid to farmers, and create employment opportunities. The collaboration between the government and international organizations was essential for Dominica’s recovery. The aid was crucial in providing immediate relief, funding infrastructure projects, and supporting long-term economic development. The recovery process continues today, with ongoing efforts to rebuild the island and make it more resilient to future disasters. The coordinated response demonstrated the importance of international cooperation and the resilience of the Dominican people.

Psychological and Social Impacts

Now, let’s address the psychological and social impacts that Hurricane Maria had on the people of Dominica. Imagine the emotional turmoil of losing your home, your possessions, and potentially loved ones. The storm left a deep scar on the island’s collective psyche. Many people experienced severe stress, anxiety, and depression. The loss of loved ones, homes, and livelihoods created feelings of grief and despair. The destruction of community spaces and social networks further isolated individuals and amplified these feelings. Mental health services were stretched to their limits. The immediate aftermath included the provision of basic counseling services, and there was a need for longer-term support. Mental health professionals and organizations from around the world offered their expertise to help Dominicans cope with the trauma. Another crucial social impact was the displacement of people. Many were forced to live in temporary shelters, and others had to relocate to other islands or countries. This separation from their communities added to their emotional distress. The breakdown of social structures also challenged the fabric of society. The storm disrupted the normal functioning of schools, healthcare facilities, and other essential services. This created further strain on families and communities. The government and NGOs recognized the importance of addressing the psychological and social impacts. They launched programs to provide mental health services, rebuild community spaces, and promote social cohesion. The efforts to support the people of Dominica were multifaceted and long-term. They aimed to help people heal, rebuild their lives, and strengthen the social fabric of the island. The resilience of the Dominican people shone through, with communities coming together to support one another and help each other heal. The long road to recovery will require ongoing efforts to address the psychological and social impacts of Hurricane Maria.

Community Resilience and Support Systems

Despite the devastation, the spirit of the Dominican people shown through. Community resilience was absolutely amazing. People came together to help each other, share resources, and provide support. Neighbors helped neighbors. Families looked out for each other. Local organizations played a crucial role in coordinating aid and providing support to affected communities. This collective spirit was vital in the immediate aftermath and throughout the recovery process. Traditional support systems, like extended families and local church groups, became even more important. They offered emotional support, practical assistance, and a sense of belonging during a time of immense hardship. International organizations and NGOs also provided support to the local communities. They worked with local groups to offer counseling services, distribute supplies, and rebuild community spaces. The resilience of the Dominican people and the strength of the community support systems were essential in helping people cope with the trauma of Hurricane Maria. It underscored the importance of building strong social networks and promoting community cohesion in the face of disasters. The recovery was not just about rebuilding infrastructure but also about rebuilding the social fabric of the island. The focus on community resilience demonstrated the extraordinary courage and determination of the people of Dominica.

Long-Term Mental Health Challenges

Okay, let’s talk about the long-term mental health challenges. The impact of such a devastating event can linger for years. Many people faced long-term mental health challenges . The trauma of losing homes, livelihoods, and loved ones can lead to persistent mental health issues. These might include post-traumatic stress disorder (PTSD), depression, anxiety, and other conditions. The ongoing stress of rebuilding their lives, combined with the lack of resources and support, exacerbated these challenges. The government, with help from international organizations, worked to provide mental health services. This involved increasing the availability of trained professionals, setting up counseling centers, and offering mental health programs. The challenges in delivering these services were huge. The limited number of mental health professionals, the difficulty in reaching isolated communities, and the stigma associated with mental health issues were all obstacles. The focus also extended to creating a supportive environment. The government and organizations aimed to raise awareness, reduce stigma, and encourage people to seek help when needed. The recovery efforts acknowledged the importance of addressing the long-term mental health impacts to support overall well-being. It involved building a stronger mental health infrastructure, training more professionals, and fostering a culture of support. The journey to recovery is ongoing, emphasizing the need for sustained efforts to help the people of Dominica heal and rebuild their lives.

Lessons Learned and Future Preparedness

Finally, let’s look at the lessons learned and future preparedness . Hurricane Maria served as a stark reminder of the devastating impact of natural disasters. The storm exposed vulnerabilities in Dominica’s infrastructure, economy, and social systems. The experience provided valuable lessons about disaster preparedness, response, and recovery. One crucial lesson was the importance of building more resilient infrastructure. This involves constructing buildings and infrastructure that can withstand extreme weather events. The government implemented stricter building codes and invested in projects to reinforce existing infrastructure. The storm also highlighted the need for improved early warning systems. The goal is to provide timely alerts and ensure that people have enough time to prepare for impending storms. Another critical lesson was the importance of community preparedness. This included educating people about disaster preparedness, developing evacuation plans, and training communities to respond to emergencies. The experience underscored the need for economic diversification and reduced reliance on vulnerable sectors like tourism and agriculture. The government and organizations focused on building a more sustainable and resilient economy. The lessons learned from Hurricane Maria prompted a review of the island’s disaster management plans. This included updating emergency response protocols and strengthening coordination among different agencies. Dominica also sought to improve its relationship with international partners to ensure that it could access timely assistance and support. The focus on future preparedness involves a multi-pronged approach that includes investing in infrastructure, improving early warning systems, strengthening community preparedness, and building a more resilient economy. The goal is to ensure that Dominica is better prepared to face future disasters. The experience of Hurricane Maria is a powerful reminder of the need to take action to protect lives, livelihoods, and communities from the impact of natural disasters.

Building Resilient Infrastructure

One of the most important lessons was the need to build resilient infrastructure . The storm showed how easily roads, buildings, and essential services can be wiped out. Now, there’s a strong emphasis on building structures that can withstand strong winds, heavy rainfall, and other extreme weather conditions. This includes implementing stricter building codes, using stronger materials, and reinforcing existing structures. Roads and bridges are being designed to withstand landslides and flooding. The goal is not just to repair what was damaged but to build back better. This means that new infrastructure is more durable and able to withstand the force of future hurricanes. Investment in renewable energy sources also helps to strengthen the resilience of the power grid. A more resilient infrastructure minimizes the impact of future storms, protects lives, and speeds up the recovery process.

Strengthening Early Warning Systems and Community Preparedness

It’s also crucial to strengthen early warning systems and community preparedness. Dominica has focused on enhancing its early warning systems to ensure that residents receive timely and accurate alerts. This involves investing in advanced technologies, such as weather monitoring stations and communication networks. Community preparedness is also essential. This means educating people about disaster risks, developing evacuation plans, and training communities to respond to emergencies. It also involves establishing emergency shelters and stockpiling essential supplies. The goal is to ensure that people are informed, prepared, and able to respond effectively. Community drills and exercises are essential to practice the plans. Local leaders and volunteers are trained to play a crucial role. This prepares the communities to withstand the impact of future storms, protect lives, and minimize damage.

In conclusion, Hurricane Maria’s impact on Dominica was devastating, but the island’s resilience and recovery efforts offer valuable lessons. From infrastructure rebuilding to community support, the Dominican people have shown incredible strength. By focusing on building back better, improving preparedness, and strengthening community bonds, Dominica is moving forward to a more resilient future. The journey continues, reminding us of the importance of solidarity, preparedness, and the enduring spirit of the Nature Island. Keep those affected in your thoughts, and let’s remember the lessons learned to help other communities facing similar challenges. Thanks for reading, guys!