Hurricane Live Tracker Satellite: Your Guide To Tracking Storms

B.Osunstate 26 views
Hurricane Live Tracker Satellite: Your Guide To Tracking Storms

Hurricane Live Tracker Satellite: Your Guide to Tracking Storms

Hey everyone! Ever wondered how we keep tabs on those massive, swirling storms called hurricanes? Well, a hurricane live tracker satellite is a crucial tool in that process, and today, we’re diving deep into everything you need to know about them. Forget those generic weather reports – we’re talking about real-time, in-depth storm tracking. Let’s get started, shall we?

What Exactly is a Hurricane Live Tracker Satellite?

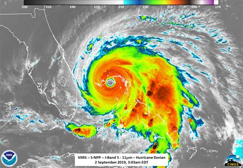
So, what do we mean when we say “ hurricane live tracker satellite ”? In a nutshell, it’s a satellite specifically designed to monitor and track hurricanes from space. These aren’t your average satellites; they’re packed with advanced instruments that collect vital data about a hurricane’s intensity, movement, and potential impact. Think of them as the ultimate storm spotters, providing a bird’s-eye view of these powerful weather events. This data is then transmitted back to Earth, where meteorologists and weather forecasters use it to create accurate models and provide warnings to the public. These satellites can provide detailed information about the storm’s structure, including cloud patterns, wind speeds, and even the temperature of the ocean’s surface. This information is critical for understanding how a hurricane is evolving and where it is likely to go. Guys, it’s like having a super-powered weather station floating in space, constantly keeping an eye on things!

These satellites are equipped with a variety of sensors. For example, they can measure the temperature of the sea surface, which is a major factor in hurricane development, and also assess wind speeds within the storm. They use radiometers to analyze the amount of energy emitted by the Earth and the atmosphere. By looking at these things, they can identify the size, intensity, and direction of a hurricane. The data they collect allows weather forecasters to predict the storm’s path and intensity. This makes it possible to issue timely warnings, providing communities with crucial time to prepare and protect themselves.

How a Hurricane Live Tracker Satellite Works: The Science Behind the Scenes

Alright, let’s get a little technical for a moment, but I’ll try to keep it simple! These satellites work using a combination of sophisticated instruments and technology. The primary instruments onboard include: radiometers , which measure energy emitted by the Earth and atmosphere; radars , which can penetrate clouds to measure wind speeds and rainfall; and imagers , which capture visual and infrared images of the storm. The process starts with the satellite orbiting Earth, constantly scanning the atmosphere and oceans. When a hurricane forms, the satellite’s sensors start collecting data – everything from wind speeds and rainfall rates to sea surface temperatures and cloud patterns. This data is then beamed back to ground stations, where it’s processed and analyzed. Meteorologists use this information to create detailed models of the hurricane, predicting its path, intensity, and potential impact. Think of it like this: the satellite is the eyes and ears in space, gathering all the raw data, and the ground stations are the brains, turning that data into actionable information. The use of satellites has revolutionized hurricane tracking. Before satellites, the only way to track hurricanes was by using aircraft and surface observations, which were limited in scope and frequency. Now, meteorologists have access to a continuous stream of data, allowing them to monitor storms 24 7 . This has led to huge improvements in the accuracy of hurricane forecasts, which is super important.

Satellites use different kinds of instruments to get different types of data. Some measure the temperature of the ocean’s surface, which is critical because warm water is what fuels hurricanes. Others use radar to pierce through the clouds and see the wind speeds and rainfall inside the storm. And there are imagers that take pictures in both visual and infrared light, giving us a complete view of the hurricane. The continuous flow of data enables the constant monitoring of hurricanes, allowing forecasters to see how the storms evolve. This continuous monitoring is a big deal in improving the accuracy of forecasts and warnings, giving people more time to prepare and helping to save lives.

Why Are Hurricane Live Tracker Satellites So Important? The Benefits

Now, let’s talk about why these satellites are so darn important. The benefits of using hurricane live tracker satellites are numerous and far-reaching. The most significant is undoubtedly the ability to provide early warnings. By tracking storms in real-time, meteorologists can forecast their paths and intensities with greater accuracy. This gives communities ample time to prepare, evacuate if necessary, and protect property. Early warnings are critical for minimizing the loss of life and reducing the damage caused by hurricanes. Another major benefit is the improvement in forecast accuracy. With the continuous stream of data, forecasters can create more sophisticated models, leading to more reliable predictions. This means better decisions can be made about evacuation orders, resource allocation, and disaster response. The data from these satellites is not only useful for tracking storms but also helps to improve our overall understanding of hurricane behavior. By studying the data over time, scientists can learn more about how hurricanes form, how they intensify, and how they interact with their environment. This knowledge is essential for improving forecasting models and developing better strategies for hurricane preparedness. Additionally, satellite data assists in search and rescue efforts, giving responders valuable information about the storm’s location and intensity. This helps them to plan their missions and deploy resources where they are most needed. The information provided by the satellites also helps in the assessment of the damage after a hurricane strikes. By analyzing the data, authorities can assess the extent of the damage, identify areas most affected, and prioritize the allocation of resources for recovery.

In addition to the immediate benefits, hurricane live tracker satellites also help us understand the long-term effects of climate change on hurricanes. By monitoring these storms over time, scientists can detect any changes in their frequency, intensity, or the areas they affect. This information is crucial for developing strategies to mitigate the effects of climate change and to adapt to a changing environment. In essence, these satellites are indispensable tools for protecting lives and property, improving the accuracy of forecasts, and advancing our understanding of these powerful storms.

Limitations: What Can’t These Satellites Do?

Even though hurricane live tracker satellites are incredibly advanced, they’re not perfect. They do have limitations. One of the main challenges is the complexity of hurricanes themselves. They are highly dynamic systems, and predicting their behavior with complete accuracy is still impossible. Weather patterns are influenced by so many factors, and these satellites, as amazing as they are, can’t account for absolutely everything. Another limitation is the resolution of the data. While the satellites provide a wealth of information, the level of detail is not always high enough to capture every nuance of the storm’s behavior. Sometimes, there are data gaps, especially when the satellite’s view is obstructed by cloud cover. Furthermore, the accuracy of the data can be affected by factors like atmospheric conditions and the calibration of the instruments. The cost of building, launching, and maintaining these satellites is also a significant factor. They’re expensive, which means that the number of satellites available is limited. This can sometimes lead to gaps in coverage or delays in data availability. Despite these limitations, the benefits of these satellites far outweigh the drawbacks. Ongoing advancements in technology are constantly improving their capabilities and reducing their limitations. Scientists and engineers are continually working to develop more advanced instruments and data-processing techniques, ensuring that these satellites remain a vital tool for hurricane tracking and forecasting. Even with all the amazing tech, remember that forecasts are probabilistic, not absolute guarantees. It’s about giving the most accurate prediction possible, but there’s always an element of uncertainty.

Examples of Hurricane Live Tracker Satellites: Meet the Stars

Okay, let’s get acquainted with some of the key players in the hurricane tracking game. Several satellites are dedicated to hurricane monitoring. These satellites are operated by different space agencies and governmental organizations. NOAA (National Oceanic and Atmospheric Administration) is a major player, with their GOES (Geostationary Operational Environmental Satellite) series providing continuous monitoring of North and South America. These satellites provide a wide range of data, including high-resolution imagery, temperature readings, and wind speed measurements. Another critical satellite is the Metop series, operated by EUMETSAT (European Organisation for the Exploitation of Meteorological Satellites), which offers global coverage and plays a key role in tracking hurricanes worldwide. These satellites use advanced instruments to provide detailed information about the storm’s structure, including cloud patterns, wind speeds, and even the temperature of the ocean’s surface. These provide essential information about hurricanes across the globe. Each satellite uses different instruments and technologies to gather specific types of data. This allows for a comprehensive picture of the hurricane and helps meteorologists improve their forecasts. Besides the ones mentioned, several other satellite systems contribute to hurricane monitoring, and the data from all of these sources is integrated to produce the most accurate and reliable forecasts possible. It is a collaborative effort, with many nations and organizations working together to keep us safe.

Finding a Reliable Hurricane Live Tracker Satellite

Want to track a hurricane in real-time? Luckily, there are plenty of resources available! NOAA provides real-time data and imagery from their GOES satellites on their website. The National Hurricane Center (NHC) is another excellent resource, offering detailed information about active storms, including their paths, intensities, and potential impacts. You can also find reliable data and information from other government agencies, such as the European Space Agency (ESA) and EUMETSAT. Many private weather services also provide hurricane tracking data, often through interactive maps and applications. When using any of these resources, always make sure they are from a reputable source. Look for websites and organizations with a good track record of providing accurate and reliable weather information. Make sure the data is up-to-date and that the information is provided by qualified meteorologists. Be aware that the information you find may come from multiple sources, and it’s always a good idea to cross-reference the data from different websites to get a comprehensive view. The National Hurricane Center is a primary source for the most accurate and reliable information. Always keep an eye out for updates and alerts from official sources, and make sure that you are prepared for possible impacts. The goal is to stay informed and safe during a hurricane!

Conclusion: Staying Ahead of the Storm

In conclusion, hurricane live tracker satellites are an essential part of our ability to monitor and predict hurricanes. From providing early warnings to improving forecast accuracy and advancing our understanding of these powerful storms, these satellites play a critical role in protecting lives and property. While they have limitations, advancements in technology are constantly improving their capabilities. By understanding how these satellites work, the benefits they provide, and where to find reliable data, you can stay informed and prepared during hurricane season. So, next time you hear about a hurricane, remember the satellites in space, constantly working to keep us safe. Stay informed, stay prepared, and stay safe, guys!